Icone do site
Favoritos

Cadastre-se para salvar seu imóveis

Preencha seu e-mail para ter acesso aos seus imóveis favoritos:

Você tem certeza que deseja apagar seus imóveis favoritos?

Excluir
Imóveis excluídos com sucesso

Detalhes do imóvel

Voltar

Ref: FA0033-MOT

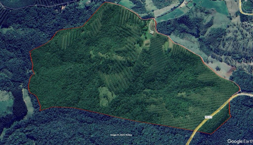
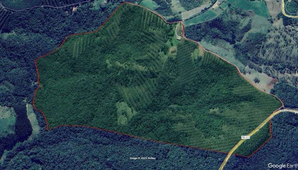
Chácara

Rodovia do Cerne, 30001. Campo Largo. Campo Largo/PR

760.000m² total
500m² útil
6 vagas
1 banheiros

Sobre o imóvel

Fazenda a venda Campo largo com 76 hectares, com casa sede, barracão, formada em pastagem e eucaliptos.
Características principais:
Casa sede com aproximadamente 140,00m2 com 3 quartos sendo uma suíte, 2 salas, cozinha, varanda, garagem e churrasqueira construída em lagar estratégico para apreciar uma vista deslumbrante.
Barracão em alvenaria com 250,00m2 + abrigo, para guardar tratores e implementos e demais uso para dia dia da fazenda.
Casa de caseiro com + /- 80,m2 com 2 quartos e madeira.
Mangueiro para gado com balança e tronco.
Com um bom sistema de abastecimento de água com nascentes próprias com três caixas sendo duas com 5.000 litros, e uma com 10.000 litro d` água que distribuem para propriedade.
Propriedade toda cercada e formada em pastagem, com vario piquetes, reserva legal e plantio de eucaliptos que está faze de rebrota.

Valor total:

R$ 2.400.000,00

Ficou interessado? Agende uma visita

Atenção! A Futurama irá entrar em contato com você por email ou telefone para confirmar a data e horário.

Mensagem enviada com sucesso
Atenção! A Futurama irá entrar em contato com você por email ou telefone para confirmar a data e horário.
ou

Fale com o corretor por WhatsApp

Características

Churrasqueira:
0
Despensa:
0
Mobiliado:
0
Interfone:
0

Dependências

Suites
1
Banheiros
1
Área Serviço
1
Garagem
6
Copa
0
BWC Empregada
0
Valor total:

R$ 2.400.000,00

Ficou interessado? Agende uma visita

Atenção! A Futurama irá entrar em contato com você por email ou telefone para confirmar a data e horário.

Mensagem enviada com sucesso
Atenção! A Futurama irá entrar em contato com você por email ou telefone para confirmar a data e horário.
ou

Fale com o corretor por WhatsApp

Termo:

A FUTURAMA IMÓVEIS não se responsabiliza pela veracidade, precisão ou atualização das informações e fotos de imóveis publicados por PARCEIROS em nosso site. As informações dos imóveis de terceiros são fornecidas diretamente pelos responsáveis pela administração dos mesmos e publicadas pela desenvolvedora do site, sendo sua total responsabilidade. A nossa responsabilidade se restringe exclusivamente aos imóveis que divulgamos e administramos diretamente, estando sob nossa supervisão total.